This website stores cookies on your device. These cookies are used to collect information about how you interact with our website and allow us to remember you. We use this information in order to improve and customize your browsing experience and for analytics and metrics about our visitors both on this website and other media. To find out more about the cookies we use, see our Privacy Policy in the footer of our website.
Accept
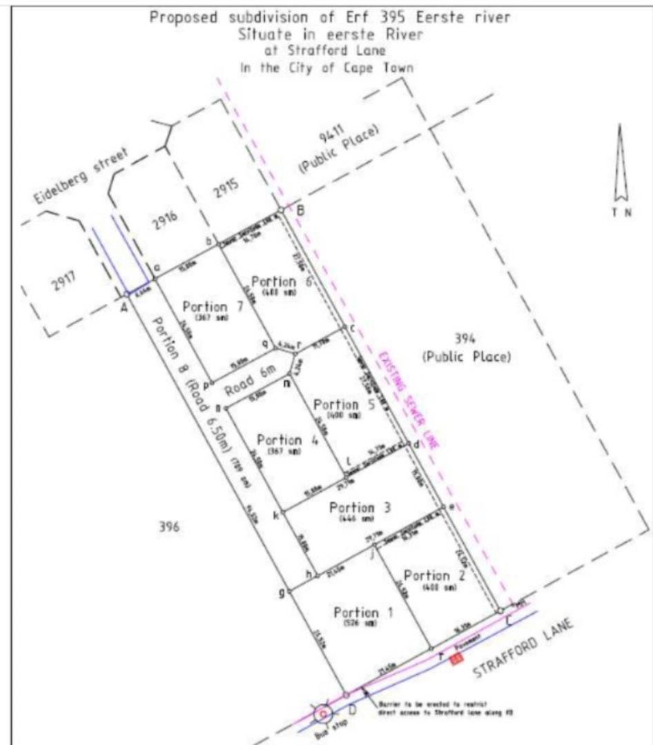
7 Erven For Plot & Plan Development In Eeersteriver For Potential 14 Homes
updated on Apr 09, 2026
POA

WEB REF: 764161

 
Property Summary
  • Price POA
  • LocationEersterivier, Eersterivier South
  • Property TypeCommercial - Land
Description

Accepting Offers. DESCRIPTION: Calling On Developers Or Investors. • Huge opportunity to develop these 7 erven approved subdivision. • You can do a plot & plan for 7 single houses or decide to do 2 semis on each plot total of 14 homes. • You can opt to rezone and put a block of flats if you want. DETAILS: • Erf no (Extent): 395, Eersteriver (3420m²) • Erf no (Extent): 2833, Eersteriver (369m²) • Erf no (Extent): 2834, Eersteriver (402m²) • Erf no (Extent): 2835, Eersteriver (400m²) • Erf no (Extent): 2836, Eersteriver (367m²) • Erf no (Extent): 2837, Eersteriver (446m²) • Erf no (Extent): 2839, Eersteriver (355m²) DISCLAIMER: The information supplied in this advert does not constitute a warranty of any kind or nature by the Sellers of the property or by the Brokers. Buyers must conduct their own investigations prior to purchasing.

      Property Address

      Eersterivier South, Eersterivier, Western Cape

      Contact Agent(s)

      eMail Agent(s)