This website stores cookies on your device. These cookies are used to collect information about how you interact with our website and allow us to remember you. We use this information in order to improve and customize your browsing experience and for analytics and metrics about our visitors both on this website and other media. To find out more about the cookies we use, see our Privacy Policy in the footer of our website.
Accept
Perfect Investment Or Development Opportunity (Plot & Plan)
updated on Apr 28, 2026
POA

WEB REF: 764132

Property Summary
  • Selling Price POA
  • Property Type Commercial - Land
  • Erf Size 2253 m2


Description

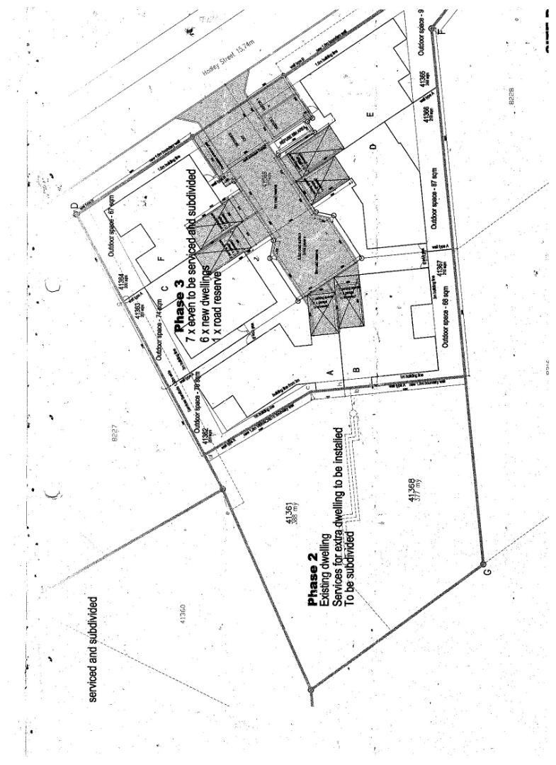
ONLINE AUCTION Bidding Start Time: Wednesday 29 April 2026 @ 09:00 Bidding End Time: Thursday 30 April 2026 @ 14:30 Registration is essential by Monday 27 April 2026. Pre-Auction Offers may be considered. Auction Finance Available. For more information, please contact the listing agent. DESCRIPTION: Calling All Investors Or Developers. OPTION 1: • Erf 8217 as a whole which measures 2 253m² and includes the dwelling together with the 6 subdivided erven, which has been approved, but must still be registered. Registration will take place simultaneously on registration of transfer. • It comprises a large 5-bedroom house • Possible to subdivide the plot where the house is, into 4 additional plots. • There is an approved SDP with potential for 4 more erven. • If rezoned to GR4, then it's possible to do at least 30 apartments • Approved subdivision for 6 plots, still to be registered. OPTION 2: • 6 Erven only, without the portion of land and the dwelling thereon, approved for subdivision, but to be registered simultaneously on transfer. • Perfect for a plot and plan development project. Homes could sell for R2million (Plus) . • Other option to max subdivision into 10 plots and build A & B of 20 duplex townhouses . Gated community development opportunity. Perfect for student accommodation as this is near UWC. DETAILS: • Erf no: 8217, Bellville • Erf size: 2253m² • Zoning: Single Residential 1 PAYMENT TERMS: 2.5% Deposit & 10% Auctioneers fee (excl. VAT on fee); Payable on the fall of the hammer by means of EFT only. Balance payable on transfer. REGISTRATION REQUIREMENTS: To bid at the auction you need to provide a copy of your identity document and current proof of residence (not older than 3 months) as well as a R20,000 refundable registration fee. DISCLAIMER: The information supplied in this advert does not constitute a warranty of any kind or nature by the Sellers of the property or by the Auctioneers. Bidders must conduct their own investigations prior to bidding.

      Property Address

      Oakglen Bellville

      Contact Agent(s)

      eMail Agent(s)